Artilleriekaserne
- Areal
- Artilleriekaserne
- Baujahr
- 1890
- Denkmalstatus besteht
- Nein
- Ehemals
- Ja
- Geo-Daten
- 49° 27' 36.42" N
10° 59' 52.40" E
Die Artilleriekaserne war eine Militäreinrichtung der Bayerischen Armee in der Fürther Südstadt.
Geschichte der Fürther Kasernen
Nach dem siegreichen Krieg gegen Frankreich 1870/71 war die Begeisterung für das Militär im 1871 neugegründeten Deutschen Kaiserreich sehr groß. Viele Städte wollten eine Garnison haben. Es bewarben sich über 150 Städte, so auch die Stadt Fürth, die 1871 ihr erstes Gesuch stellte. Man versprach sich von einer Garnison vor allem wirtschaftliche Belebung, weil an der Verpflegung und der Versorgung der Soldaten gut zu verdienen war und weil die Soldaten auch einen Teil ihres Solds in der Stadt ausgaben. 1872 wiederholte die Stadt ihr Gesuch, da es auf der Kirchweih dieses Jahres zu heftigen Schlägereien und Auseinandersetzungen gekommen war und man sich von den Soldaten auch eine Gewährleistung der inneren Sicherheit versprach.[1]
Aber erst nachdem der Deutsche Reichstag 1890 den Weg für die Vergrößerung des kaiserlichen Heeres frei gemacht hatte, begann in Fürth der Bau einer Kaserne für Artillerie. Die Artillerie galt damals als wichtigste Waffengattung des Heeres. Die offizielle Ernennung Fürths zur Garnisonsstadt erfolgte am 27. September 1890. Damals zogen die ersten 360 Mann Artillerie mit 200 Pferden in die neu entstandenen Gebäude ein. Das Kasernen-Areal wurde damals von der Flößau-, Sonnen-, Fronmüller-, Liesl-Kießling- und Ullsteinstraße eingegrenzt. Die Stadt hatte einige Vorleistungen erbringen müssen. so stellte sie die Grundstücke zur Verfügung und sorgte für Kanalisation, Wasserleitungen, Straßenbau und Energieversorgung. Für einen Teil des Areals musste der Höfener Wald abgeholzt werden. Der Name Waldstraße erinnert daran.[2]
Die meisten Gebäude der Kaserne entstanden zwischen 1890 und 1893. Aus der Zeit um 1900 stammt auch der heute dominierende Gebäudekomplex an der Flößaustraße, der zu diesem Zeitpunkt allerdings aus zwei einzelnen Gebäuden für jeweils eine Batterie Artillerie bestand. Auch die noch erhaltenen Stallungen an der Sonnen- und Ullsteinstraße stammen aus dieser Zeit und boten damals Unterstellmöglichkeiten für die Pferde der drei Batterien der Artillerieabteilung. Die besonders sehenswerte Offiziers-Speiseanstalt - zwischenzeitlich eine Gaststätte, heute Wohnnutzung - entstand 1904. Bereits im Jahr 1893 war auch die Infanterie im westlichen Teil der Kaserne eingezogen und in den Jahren von 1900 bis 1907 entstanden im Osten die Gebäude der Train-Abteilung, die für Versorgung und Nachschub zuständig war. 1913 bis 1916 wurde die Garnison vergrößert und die neue Infanterie südlich an die alte angrenzend errichtet. Das Kasernenareal umfasste somit ca. 41 ha. Die Bereiche der drei Waffengattungen waren gegeneinander abgegrenzt und durch Tore verbunden. Weiter südlich an der Schwabacher Straße wurden ebenfalls kurz vor dem Ersten Weltkrieg Kasernen für das 3. Fußartillerie-Regiment gebaut.[3]
Reichswehr und Wehrmacht
Nach dem Ende des Ersten Weltkriegs und der Demilitarisierung in Folge des Versailler Vertrages ab 1920 wurde auch die Garnison in Fürth stark verkleinert. Da die Gebäude allerdings zu den modernsten im Reich zählten, blieb Fürth aber weiter Militärstadt. Die Truppenstärke schmolz jedoch von mehreren tausend Soldaten auf gerade einmal noch gut 500 Mann zusammen. Teile der leerstehenden Gebäude übernahm die Landespolizei, andere Bereiche kaufte Gustav Schickedanz 1932, um dort Lager- und Fertigungshallen zu errichten.
Mit der Machtübernahme durch die Nationalsozialisten und der Aufkündigung des Versailler Vertrages zogen schließlich wieder mehr Soldaten in die Gebäude ein. Die drei Kasernen (Infanteriekaserne, Artilleriekaserne und Trainkaserne) wurden zu einer großen Kaserne von 41 Hektar Fläche vereinigt und weiter ausgebaut. So verband man 1934 zunächst die beiden Batteriegebäude an der Flößaustraße mit einem Mittelgebäude und stockte das Gebäude Ende der 1930er Jahre noch einmal auf. Damit erreichte es die nahezu monumentalen Ausmaße von 210 Metern, die die Straße lange Jahre dominieren sollten und sich auch heute noch ausmachen lassen.
Bis 1938 zog hier wieder das Infanterieregiment 21 ein, außerdem ergänzten eine Kraftfahrabteilung, eine Minenwerferkompanie und das Flakregiment 8 die Fürther Garnison. Letzteres stellte auch Soldaten für die "Legion Condor", die im Spanischen Bürgerkrieg eingesetzt wurde.
Das 1942 in Trier-Büren aufgestellte Flieger-Ersatz-Bataillon XII wurde Ende 1944 nach Fürth verlegt.[4] Nach dem „Seitenwechsel“ Italiens im Juli 1943 nahm die Einheit etliche italienische Kriegsfreiwillige auf, die schließlich noch im April 1945 bei der Verteidigung Fürths eingesetzt wurden. Im Jahre 2002 wurden bei Straßenbauarbeiten an der Ecke Sonnenstraße/Flößaustraße - unmittelbar am Rand des Kasernengeländes - mehrere Dutzend unbenutzte Erkennungsmarken dieser Einheit mit der eingeprägten Abkürzung "ITAL" gefunden.
Im Verlauf des Krieges blieb die Kaserne weitestgehend unbeschädigt, wenngleich sie am 8. September 1944 das Ziel eines Luftangriffes wurde, der die Südstadt schwer getroffen hatte.
Nach der kampflosen Kapitulation der Garnison am 19. April 1945 zogen die Amerikaner in das Gelände ein und benannten es im März 1949 nach einem 1945 gefallenen Brigadegeneral in "William O. Darby Kaserne" um. Der General William Orlando Darby hatte im Krieg die undiszipliniertesten Soldaten der Truppen zusammen gesammelt und zu einer Elite-Einheit, den Darby-Rangers, geformt.
Konversion
Die allgemeinen Umstände der Konversion entsprachen jenen der Konversion in der Infanteriekaserne (siehe im Detail dort).
Am 27. Oktober 1994 gab die U.S. Army bekannt, dass die Kasernen in der Südstadt geräumt werden. Das Sternenbanner wurde am 19. Dezember 1995 zum letzten Mal eingeholt.
Nachdem die US-Streitkräfte das Areal 1995 geräumt hatten, fand im folgenden Jahr zunächst ein beschränkter städtebaulicher Ideenwettbewerb zur Einleitung der Konversion statt, auf den 1997 die Aufstellung eines städtebaulichen Rahmenplanes folgte. Das Gelände der William O. Darby Kaserne ging am 18. September 1998 von der Bundesrepublik Deutschland in den Besitz der Stadt Fürth über.
Abgerissen wurden im Bereich der Artilleriekaserne die Gebäude Nr. 9 A/B/C/D, 40, 40 A, 45 B, 46, 47 A, 49, 51, 52, 55, 56, 57, 58, 60, 61, 61 A/B, 63, 64, 65 C/D, 67 B/C, 69, 70, 70 A, 78, 78 A, 86, 93, 94. Darunter waren die Gebäude 49 und 56 als „denkmalwert“ eingestuft.
Neu entstanden sind im Rahmen der Konversion die Reihenhäuser Liesl-Kießling-Straße 1 bis 63 (ungerade Nummern), Krautheimerstraße 17 bis 31 (ungerade Nummern), Neptunweg 1 bis 97 (ungerade Nummern), Sonnenstraße 84 bis 90 (gerade Nummern). Aufgelassen wurde die Artilleriestraße. Die Magazinstraße wurde im Bereich der Kaserne in Ullsteinstraße umbenannt.
Weiterhin entstanden der Xylokastroplatz, Marmarisplatz und der Limogesplatz.
Gesondert erwähnenswert sind die umgenutzten historischen Gebäude 53/54 (Musikschule Fürth), 67 ("Kießling-Villa", heute Wilhelm Löhe Hochschule), 47 (Grüne Halle), 41 (ehemaliges Mannschaftsgebäude der Artilleriekaserne mit Depot, heute Wohngebäude) und 65 A (ehemaliges Filial-Artilleriedepot der Artilleriekaserne mit Depot, heute Wohngebäude).
Baudenkmäler
- Flößaustraße 84, Ehemaliges Dienstgebäude für Wärter, Verheiratete und Wachinspektor (Gebäude Nr. 39) der Artilleriekaserne mit Depot
- Flößaustraße 86, 86a-d, 88, 88a-d, Ehemaliges Mannschaftsgebäude (Gebäude Nr. 41) der Artilleriekaserne mit Depot
- Flößaustraße 90, Ehemaliges Dienstgebäude (Gebäude Nr. 42) der Artilleriekaserne mit Depot
- Krautheimerstraße 11, Ehemalige Sporthalle (Gebäude Nr. 47) der Artilleriekaserne mit Depot
- Merkurstraße 21, Ehemaliges Stabs- bzw. Dienstgebäude (Gebäude Nr. 65B) des Filial-Artilleriedepots der Artilleriekaserne mit Depot
- Merkurstraße 25-39 (ungerade Nummern), Ehemaliges Filial-Artilleriedepot (Gebäude Nr. 65A) der Artilleriekaserne mit Depot
- Merkurstraße 41, Ehemaliges Dienstwohngebäude für sechs Unteroffiziere (Gebäude Nr. 67) der Artilleriekaserne mit Depot, später „Kießling-Villa“
- Sonnenstraße 36, Ehemaliges Offizierskasino (Gebäude Nr. 43) der Artilleriekaserne mit Depot
- Sonnenstraße 50-82 (gerade Nummern), Ehemalige Stallbaracke (Gebäude Nr. 50) der Artilleriekaserne mit Depot
- Südstadtpark 1, Ehemalige Handwerkergebäude (Gebäude Nr. 53 und 54) der Artilleriekaserne mit Depot
- Ullsteinstraße 3, 5, 7, Ehemalige Stallbaracke (Gebäude Nr. 44) der Artilleriekaserne mit Depot
- Ullsteinstraße 9-45 (ungerade Nummern), Ehemalige Stallbaracke (Gebäude Nr. 45) der Artilleriekaserne mit Depot
Zeitgenössische Beschreibung der Kaserne
Aus der Regimentsgeschichte des 6. Feldartillerieregiments:
(...) Blicken wir, am Denksteine unseres Regimentes stehend, in den Kasernenhof hinaus, so haben wir zur rechten Hand die eigentliche Kaserne, die Unterkunft von sechs Batterien. In zwei mächtigen, von einander getrennten Gebäuden war zunächst die I. Abteilung, weiter unten die II. untergebracht. Im Erdgeschoß lagen die Küchen-, Kantinen- und Wirtschaftsräume, im ersten und zweiten Stockwerk die Mannschaftszimmer. Diese, in alt-militärischer Einfachheit, gewiß nicht gerade schön, aber zweckentsprechend, waren hoch und hell; nach Südosten gelegen empfingen sie die ersten und die letzten Sonnenstrahlen und wirkten durchaus nicht unfreundlich.
Wie viele, von zu Hause verwöhnte Rekruten, mögen zuerst erschrocken vor dieser Nüchternheit zurückgeprallt sein und schieden dann doch mit einem freundlichen Blick von den vertraut gewordenen Räumen, in denen sie so viel geputzt und gesungen, geplaudert und gelacht, sowie nach hartem Dienst so gut geschlafen hatten. Während die Mannschaftszimmer alle nach dem Kasernenhofe zu lagen, gingen die langen Flure, welche die Verbindung herstellten, die Schreibstuben, sowie einige Verheirateten-Wohnungen auf die Flößaustraße hinaus, welche durch die Glückstraße in wenigen Minuten nach der Ludwigsbahn- und Straßenbahnhaltestelle Fürth-Ost führte.
Nach unten schließt den recht geräumigen Kasernenhof die Stallung der II. ab, links lagen die Schmieden, die Gebäude für die Kammern und die Geschützschuppen, die beiden Waffenmeistereien, dazwischen ein kleines Dienstgebäude, in dessen Erdgeschoß die Geschäftszimmer der I. Abteilung lagen, sowie zwei schöne, große Reithallen. Oben schloß sich noch eine kleine Reitbahn, die Stallung der I. Abteilung, sowie das sogenannte Dienstgebäude, in einem recht bescheidenen Gärtchen gelegen an, dessen Erdgeschoß außer der Küche die Regiments- sowie die Abteilungs-Geschäftszimmer der II. Abteilung barg, während einige Leutnants-Wohnungen im 1. Stock und die Räume des Kasinos im 2. Stock untergebracht waren.
Ein 1903 eines Nachts ausbrechender Kaminbrand vernichtete außer dem Dachstuhl des Kasernengebäudes I. die gesamten Kammerbestände der 2. Batterie. Da aus äraealischen [sic!] Mitteln nichts ersetzt werden konnte, mußte das Regiment sich selber helfen und war zu Anfang des Krieges mit seinen Kammerbeständen noch immer im Rückstande. Im ganzen machte die Kaserne, gleichmäßig in allen Gebäuden aus den bei Dienstgebäuden ja so beliebten, roten Backsteinen ausgeführt, einen stattlichen Eindruck. Zwar schmucklos, aber nicht häßlich, war sie von Anfang an für ein Feldartillerie-Regiment mit 6 Batterien gebaut, sehr zweckmäßig, hygienisch einwandfrei, jedenfalls im Vergleich mit anderen Kasernen eine der besten.
Als die Kaserne in den 90er Jahren gebaut wurde, lag sie inmitten von unfruchtbaren, kahlen Sandflächen, auf denen kaum ein paar Schafe kümmerliche Weide fanden. Rings um die Kaserne konnte in Abteilungen geritten, sogar etwas mit bespannten Geschützen gefahren werden, ja die Reitjagden konnten im Herbste an der Kaserne beginnen und nach dem Garnisonsexerzierplatz Hainberg zu und dann immer weiter durch Feld und Wald gelegt werden. Das ganze Gelände von der Kaserne bis Stein war nahezu unbebaut. Erst allmählich entstanden die nächsten Gebäude, wie die Heinrichs-Kirche, mehrere Schulen und endlich die Kaserne des 21. Infanterie-Regiments. Der in großen Massen anfallende Pferde-Dünger, welcher von den Bauern eifrig angekauft und auf den mageren Boden gebracht wurde, bewirkte dort ein erstaunliches Wachstum. Feld an Feld entstand auf dem Wege nach dem Hainberg, und Hafer, Korn und Kartoffeln wurden geerntet, wo früher kaum Heide und Ginster fortkamen. Wehe dem Unglücklichen, welcher jetzt noch vom Wege abkam und etwa Flurschaden machte. Die Herren Oekonomen von Zirndorf oder Höfen verstanden keinen Spaß, und der Weg zum Regiments-Geschäftszimmer war recht kurz. Schließlich war nur noch ein kleines Fleckchen in nächster Nähe des Kasernenhofes zum Geschützexerzieren übrig geblieben, der sogenannte Rammesbühl (...).[5]
Siehe auch
Weblinks
- Nuremberg Military Community: Am Seitenende Fotos der Artilleriekaserne vor 1945 (englisch)
- Nuremberg Military Community: Luftbild der Artilleriekaserne etwa 1930 (englisch)
- "Garnisonsstandort Fürth und seine Regimenter" (private Website) bei morthomme.com
Einzelnachweise
- ↑ Barbara Ohm: Durch Fürth geführt - Band 1, Die Stadt zwischen den Flüssen. VKA Verlag Fürth, 1999, 2005, 1991, S. 173.
- ↑ Barbara Ohm: Durch Fürth geführt - Band 1, Die Stadt zwischen den Flüssen. VKA Verlag Fürth, 1999, 2005, 1991, S. 174.
- ↑ Barbara Ohm: Durch Fürth geführt - Band 1, Die Stadt zwischen den Flüssen. VKA Verlag Fürth, 1999, 2005, 1991, S. 174.
- ↑ Gliederungsseite im Lexikon der Wehrmacht - online (abgerufen am 23. Mai 2023)
- ↑ Die Geschichte des K. B. 6. Feldartillerie-Regiments Prinz Ferdinand von Bourbon Herzog von Calabrien, Friedensjahre Kapitel 2, Die Kaserne, S. 17ff
Bilder
Bilder als Galerie / Tabelle anzeigen, sortieren und filtern
Filial-Artilleriedepot (heute Xylokastroplatz), vom Südstadtpark aus gesehen;
rechts die zu ... Filial-Artilleriedepot (heute Xylokastroplatz), vom Südstadtpark aus gesehen;
rechts die zu Wohnraum umgebauten Kasernen- bzw. Quelle-Gebäude, im Hintergrund das Haus Venusweg 4, April 2020
Urheber: Kamran Salimi
Erstellungsdatum: 12. April 2020
Lizenz: cc-by-sa-3.0Filial-Artilleriedepot (heute Xylokastroplatz), von der Sonnenstraße aus gesehen;
links die zu ... Filial-Artilleriedepot (heute Xylokastroplatz), von der Sonnenstraße aus gesehen;
links die zu Wohnraum umgebauten Kasernen- bzw. Quelle-Gebäude, im Hintergrund die ehemalige Kießling-Villa, April 2020
Urheber: Kamran Salimi
Erstellungsdatum: 12. April 2020
Lizenz: cc-by-sa-3.0Stallbaracke (heute Sonnenstraße 50 - 82), Fassadendetail Urheber: Aquilex
Erstellungsdatum: 5. Mai 2019
Lizenz: cc-by-sa-3.0Stallbaracke (heute Ullsteinstraße 9 - 45), Fassadendetail Urheber: Aquilex
Erstellungsdatum: 5. Mai 2019
Lizenz: cc-by-sa-3.0Ehemaliges Offizierskasino (Gebäude Nr. 43) der Artilleriekaserne mit Depot, heute zur hochwertigen ... Ehemaliges Offizierskasino (Gebäude Nr. 43) der Artilleriekaserne mit Depot, heute zur hochwertigen Wohnanlage umgebaut, Juli 2015
Urheber: Aquilex
Erstellungsdatum: 11. Juli 2015
Lizenz: cc-by-sa-3.0Die Wilhelm-Löhe-Hochschule im Südstadtpark in der ehem. Kießling-Villa, 2015 Urheber: Kamran Salimi
Erstellungsdatum: 8. Februar 2015
Lizenz: cc-by-sa-3.0Ehemaliges Stabs- bzw. Dienstgebäude (Gebäude Nr. 65 B) des Filial-Artilleriedepots der ... Ehemaliges Stabs- bzw. Dienstgebäude (Gebäude Nr. 65 B) des Filial-Artilleriedepots der Artilleriekaserne mit Depot
Urheber: Doc Bendit
Erstellungsdatum: 18. Februar 2014
Lizenz: cc-by-sa-3.0Wilhelm-Löhe-Hochschule in der Merkurstraße 41, Feb 2012 Urheber: Cybrarian
Erstellungsdatum: 25. Februar 2012
Lizenz: cc-by-sa-3.0Dienstwohngebäude für sechs Unteroffiziere, später Kießling-Villa im Südstadtpark, heute ... Dienstwohngebäude für sechs Unteroffiziere, später Kießling-Villa im Südstadtpark, heute Wilhelm-Löhe-Hochschule Fürth, Feb. 2012
Urheber: Cybrarian
Erstellungsdatum: 25. Februar 2012
Lizenz: cc-by-sa-3.0Handwerkergebäude, heute Musikschule im Südstadtpark Urheber: Doc Bendit
Erstellungsdatum: 5. Juni 2009
Lizenz: cc-by-sa-3.0Stallbaracke (heute Ullsteinstraße 9 - 45) von Süden aus gesehen, auf der linken Straßenseite ... Stallbaracke (heute Ullsteinstraße 9 - 45) von Süden aus gesehen, auf der linken Straßenseite verlief das Gleis der Kasernenbahn
Urheber: Doc Bendit
Erstellungsdatum: 5. Juni 2009
Lizenz: cc-by-sa-3.0Filial-Artilleriedepot (heute Xylokastroplatz), von der Sonnenstraße aus gesehen;
links die zu ... Filial-Artilleriedepot (heute Xylokastroplatz), von der Sonnenstraße aus gesehen;
links die zu Wohnraum umgebauten Kasernen- bzw. Quelle-Gebäude, im Hintergrund die ehemalige Kießling-Villa
Urheber: Doc Bendit
Erstellungsdatum: 5. Juni 2009
Lizenz: cc-by-sa-3.0Blick von Süden in den Südstadtpark, im Hintergrund ist das Mannschaftsgebäude der Artilleriekaserne ... Blick von Süden in den Südstadtpark, im Hintergrund ist das Mannschaftsgebäude der Artilleriekaserne und der Turm von St. Heinrich zu sehen
Urheber: Felix Geismann
Erstellungsdatum: August 2008
Lizenz: cc-by-sa-3.0Die Gebäude Ullsteinstraße 3; 5; 7 ff. und Ullsteinstraße 12; 14; 16 sowie Ullsteinstraße 18 ... Die Gebäude Ullsteinstraße 3; 5; 7 ff. und Ullsteinstraße 12; 14; 16 sowie Ullsteinstraße 18 (Ullsteinstraße 4 besteht zum Zeitpunkt der Aufnahme noch nicht)
Urheber: Vidicon
Erstellungsdatum: 23. Juli 2004
Lizenz: cc-by-sa-3.0Wehrmachts-Erkennungsmarken des Flieger-Ersatz-Bataillon XII für italienische Kriegsfreiwillige, ... Wehrmachts-Erkennungsmarken des Flieger-Ersatz-Bataillon XII für italienische Kriegsfreiwillige, Bodenfund aus der Sonnenstraße unweit der Kreuzung mit der Flößaustraße (2002)
Urheber: Ralph Stenzel
Erstellungsdatum: 16. September 2002
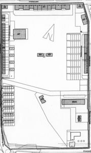
Lizenz: cc-by-sa-3.0Konversionsfläche Darby-Kaserne (ehemalige Artilleriekaserne, Entwicklungsstand 1995) - Schwarz ... Konversionsfläche Darby-Kaserne (ehemalige Artilleriekaserne, Entwicklungsstand 1995) - Schwarz hervorgehoben: "Denkmalwerte Gebäude";
Plan ausgestellt auf einer Schautafel zum Tag des Denkmals 2005 in der Grünen Halle (noch nach amerikanischem Muster nummeriert)
Erstellungsdatum: 1995
Lizenz: cc-by-sa-3.0Konversionsfläche Darby-Kaserne (ehemalige Artilleriekaserne, Entwicklungsstand 2005);
Plan ... Konversionsfläche Darby-Kaserne (ehemalige Artilleriekaserne, Entwicklungsstand 2005);
Plan ausgestellt auf einer Schautafel zum Tag des Denkmals 2005 in der Grünen Halle (noch nach amerikanischem Muster nummeriert)
Erstellungsdatum: 1995
Lizenz: cc-by-sa-3.0Gebäude 43 im November 1994. Urheber: Bernd Jesussek
Erstellungsdatum: November 1994
Lizenz: cc-by-sa-3.0Das Hinweisschild der U.S. Army auf das Gebäude 43 (1994). Urheber: Bernd Jesussek
Erstellungsdatum: 19. Juni 1994
Lizenz: cc-by-sa-3.0Pläne der ehem. Artilleriekaserne bzw. William O. Darby Kaserne der U.S. Army in der Südstadt - mit ... Pläne der ehem. Artilleriekaserne bzw. William O. Darby Kaserne der U.S. Army in der Südstadt - mit der Kalb Housing Area, Okt. 1985
Urheber: U.S. Army
Erstellungsdatum: 1. Oktober 1985
Lizenz: copyrightPläne der ehem. Artilleriekaserne bzw. William O. Darby Kaserne der U.S. Army in der Südstadt, Okt. ... Pläne der ehem. Artilleriekaserne bzw. William O. Darby Kaserne der U.S. Army in der Südstadt, Okt. 1985
Urheber: U.S. Army
Erstellungsdatum: 1. Oktober 1985
Lizenz: copyrightEingangsbereich Gebäude 43 (ohne Datum). Urheber: Public Affairs Office
Erstellungsdatum: 1980
Lizenz: cc-by-sa-3.0Echtfoto von der Ausbildung am Geschütz, hier auf dem Exzerzierplatz der Artilleriekaserne in der ... Echtfoto von der Ausbildung am Geschütz, hier auf dem Exzerzierplatz der Artilleriekaserne in der Südstadt, Juni 1942
Urheber: unbekannt
Erstellungsdatum: Juni 1942
Lizenz: cc-by-sa-3.0Ausbildung in der Artilleriekaserne, um 1936/38 Urheber: unbekannt
Erstellungsdatum: 1940
Lizenz: cc-by-sa-3.0Aufbau von Flak-Geschützen (2-cm-Flak 38, 2-cm-Flak-Vierling 38, 8,8-cm-Flak 18/36/37) in der ... Aufbau von Flak-Geschützen (2-cm-Flak 38, 2-cm-Flak-Vierling 38, 8,8-cm-Flak 18/36/37) in der Südstadt vor der Artilleriekaserne, ca. 1940
Urheber: unbekannt
Erstellungsdatum: 1940
Lizenz: cc-by-sa-3.0Luftwaffenhelfer in der Südstadt vor der Artilleriekaserne, ca. 1940 Urheber: unbekannt
Erstellungsdatum: 1940
Lizenz: cc-by-sa-3.0Ansichtskarte von der Flak-Abteilung, gel. 1938 Urheber: unbekannt
Erstellungsdatum: 1938
Lizenz: cc-by-sa-3.0Ausbildung in der Artilleriekaserne, um 1936/38 Urheber: unbekannt
Erstellungsdatum: 1938
Lizenz: cc-by-sa-3.0Ausbildung in der Artilleriekaserne, um 1936/38 Urheber: unbekannt
Erstellungsdatum: 1938
Lizenz: cc-by-sa-3.0Ausbildung in der Artilleriekaserne, um 1936/38 Urheber: unbekannt
Erstellungsdatum: 1938
Lizenz: cc-by-sa-3.0Beschriftung Rückseite: Okt 1934 nach der Vereidigung "Fahr-Abteilung Fürth", Kdr. Oberleutnant ... Beschriftung Rückseite: Okt 1934 nach der Vereidigung "Fahr-Abteilung Fürth", Kdr. Oberleutnant Heiligbrunner mit Major Lichtenberger - Chef der 1. Batterie
Urheber: unbekannt
Erstellungsdatum: 1. Oktober 1934
Lizenz: cc-by-sa-4.0Angehörige der I. Ersatzbatterie des 6. Feldartillerieregiments vor dem Mannschaftsgebäude der ... Angehörige der I. Ersatzbatterie des 6. Feldartillerieregiments vor dem Mannschaftsgebäude der Artilleriekaserne –
der große Mittelbau existiert noch nicht, somit ist der Blick auf das Hardenberg-Gymnasium möglich; das rechte Gebäude entspricht heute der Hausnr. 88 a
Urheber: unbekannt
Erstellungsdatum: 1917
Lizenz: cc-by-sa-3.0Aufzug des Militärs auf dem Exerzierplatz der Artilleriekaserne, ca. 1916. Im Hintergrund die ... Aufzug des Militärs auf dem Exerzierplatz der Artilleriekaserne, ca. 1916. Im Hintergrund die Gebäude 27 u. 45 (heute Ullsteinstraße)
Urheber: Jean Riffelmacher
Erstellungsdatum: 1916
Lizenz: cc-by-sa-3.0Ansichtskarte über die Artilleriekaserne in der Südstadt, gel. 1915 Urheber: unbekannt
Erstellungsdatum: 28. Dezember 1915
Lizenz: cc-by-sa-3.0Artilleriekaserne in der Südstadt, gel. Sept 1915 Urheber: unbekannt
Erstellungsdatum: 19. September 1915
Lizenz: cc-by-sa-4.0Die Jugendwohl Wehrkraftverein Fürth e. V. in der Artilleriekaserne in der Südstadt - auf der ... Die Jugendwohl Wehrkraftverein Fürth e. V. in der Artilleriekaserne in der Südstadt - auf der Rückseite beschriftet mit Leutnant Beckhauss bzw. Leutnant Hofmann, ngl. ca. 1915
Urheber: unbekannt
Erstellungsdatum: 1915
Lizenz: cc-by-sa-4.0Die Jugendwohl Wehrkraftverein Fürth e. V. in der Artilleriekaserne in der Südstadt - auf der ... Die Jugendwohl Wehrkraftverein Fürth e. V. in der Artilleriekaserne in der Südstadt - auf der Rückseite beschriftet mit Leutnant Beckhauss bzw. Leutnant Hofmann, ngl. ca. 1915
Urheber: unbekannt
Erstellungsdatum: 1915
Lizenz: cc-by-sa-4.0Die Jugendwohl Wehrkraftverein Fürth e. V. in der Artilleriekaserne in der Südstadt - auf der ... Die Jugendwohl Wehrkraftverein Fürth e. V. in der Artilleriekaserne in der Südstadt - auf der Rückseite beschriftet mit Leutnant Beckhauss bzw. Leutnant Hofmann, ngl. ca. 1915
Urheber: unbekannt
Erstellungsdatum: 1915
Lizenz: cc-by-sa-4.0Artilleriekaserne an der Flößaustraße, Postkarte (ca. 1914) Urheber: unbekannt
Erstellungsdatum: 1914
Lizenz: cc-by-sa-3.0Reserveübung in Fürth, 1912 - im Hintergrund die Pferdeställe (ehem. Gebäude 45) an der heutigen ... Reserveübung in Fürth, 1912 - im Hintergrund die Pferdeställe (ehem. Gebäude 45) an der heutigen Ullsteinstraße
Urheber: unbekannt
Erstellungsdatum: 1912
Lizenz: cc-by-sa-3.0Königlich Bayerisches 6. Reserve-Infanterie-Regiment vor der Artilleriekaserne in der Südstadt, gel ... Königlich Bayerisches 6. Reserve-Infanterie-Regiment vor der Artilleriekaserne in der Südstadt, gel Jan 1909
Erstellungsdatum: 25. Januar 1909
Lizenz: cc-by-sa-4.0Alte Ansichtskarte zur Artilleriekaserne in der Südstadt, gel. 1906 Urheber: unbekannt
Erstellungsdatum: 1906
Lizenz: cc-by-sa-3.0Artilleriekaserne in der Flößaustraße, gel. Nov 1905 Urheber: unbekannt
Erstellungsdatum: 5. November 1905
Lizenz: cc-by-sa-4.0Artilleriekaserne in der Südstadt, gel Aug 1905 Urheber: unbekannt
Erstellungsdatum: 22. August 1905
Lizenz: cc-by-sa-4.0Kaserne I Bataillon Kgl 21 Infanteria Regiment, gel. 1904 Urheber: unbekannt
Erstellungsdatum: 1904
Lizenz: cc-by-sa-3.0Kaserne I Bataillon Kgl 21 Infanteria Regiment, gel. 1902 Urheber: unbekannt
Erstellungsdatum: 1902
Lizenz: cc-by-sa-3.0Ansichtskarte aus der Artilleriekaserne, gel. Nov 1900 Urheber: unbekannt
Erstellungsdatum: 5. November 1900
Lizenz: cc-by-sa-4.0Speisekarte aus der Artilleriekaserne von Jan 1900 Urheber: unbekannt
Erstellungsdatum: 27. Januar 1900
Lizenz: cc-by-sa-4.0Alte Ansichtskarte der Artilleriekaserne in der Südstadt, gel. Jan. 1899 Urheber: unbekannt
Erstellungsdatum: 11. Januar 1899
Lizenz: cc-by-sa-3.0Parademarschübung im Kasernenhof der Artilleriekaserne – links Mitte das Dienstgebäude (Kasino), ... Parademarschübung im Kasernenhof der Artilleriekaserne – links Mitte das Dienstgebäude (Kasino), daneben die Stallung der I. Abteilung;
im Hintergrund sind der Wasserturm der Stadtwerke sowie das Mannschaftsgebäude der Trainkaserne erkennbar (Aufnahme um 1910)
Urheber: unbekannt
Lizenz: cc-by-sa-3.0Unterricht an einem Geschütz der Artilleriekaserne. Bei dem Gebäude handelt es sich vermutlich um ... Unterricht an einem Geschütz der Artilleriekaserne. Bei dem Gebäude handelt es sich vermutlich um den heute nicht mehr existierenden Geschützschuppen bzw. Waffenmeisterei. Im Hintergrund die Stallung der I. Abteilung an der Sonnenstraße. Aufnahme um 1910
Urheber: unbekannt
Lizenz: cc-by-sa-3.0Szene mit Soldaten auf einem LKW, vermutlich in der Artilleriekaserne in der Südstadt Urheber: Karl Stöhr
Lizenz: cc-by-sa-3.0
Bilder als Galerie / Tabelle anzeigen, sortieren und filtern
Militärparade mit NS-OB Franz Jakob an der Artilleriekaserne, ca. 1938 Urheber: unbekannt
Erstellungsdatum: 1938
Lizenz: cc-by-sa-3.0Ansichtskarte über die Artilleriekaserne in der Südstadt, gel. 1915 Urheber: unbekannt
Erstellungsdatum: 28. Dezember 1915
Lizenz: cc-by-sa-3.0Soldat vom Königlich Bayerischen 6. Feldartillerie-Regiment „Prinz Ferdinand von Bourbon, Herzog von ... Soldat vom Königlich Bayerischen 6. Feldartillerie-Regiment „Prinz Ferdinand von Bourbon, Herzog von Calabrien“ verabschiedet sich (gel. 1914) - im Hintergrund Gebäude Sonnenstraße 56
Urheber: unbekannt
Erstellungsdatum: 1914
Über Datum: 5. November 1914
Lizenz: cc-by-sa-3.0Stadtplan von 1912 Erstellungsdatum: 1912
Lizenz: cc-by-nc-sa-4.0Stadt-Plan Fürth, ca. 1905 (Maßstab 1:5000) Urheber: Verlag A. Schmittner's Buchhandlung (A. Schmidt) Fürth
Erstellungsdatum: 1905
Lizenz: cc-by-nc-sa-3.0Rekruten-Vereidigung vor dem Mannschaftsgebäude der Artilleriekaserne. Der große Mittelbau existiert ... Rekruten-Vereidigung vor dem Mannschaftsgebäude der Artilleriekaserne. Der große Mittelbau existiert noch nicht, im Hintergrund sind die Giebel der Häuser Flößaustr. 63 - 75 erkennbar. Aufnahme um 1910
Urheber: unbekannt
Lizenz: cc-by-sa-3.0